For sale nice residential land at Morcellement Highland Rose.
MUR5,364,000
- Property type: Residential Land
- Offer type: For Sale
- City: Highlands Rose
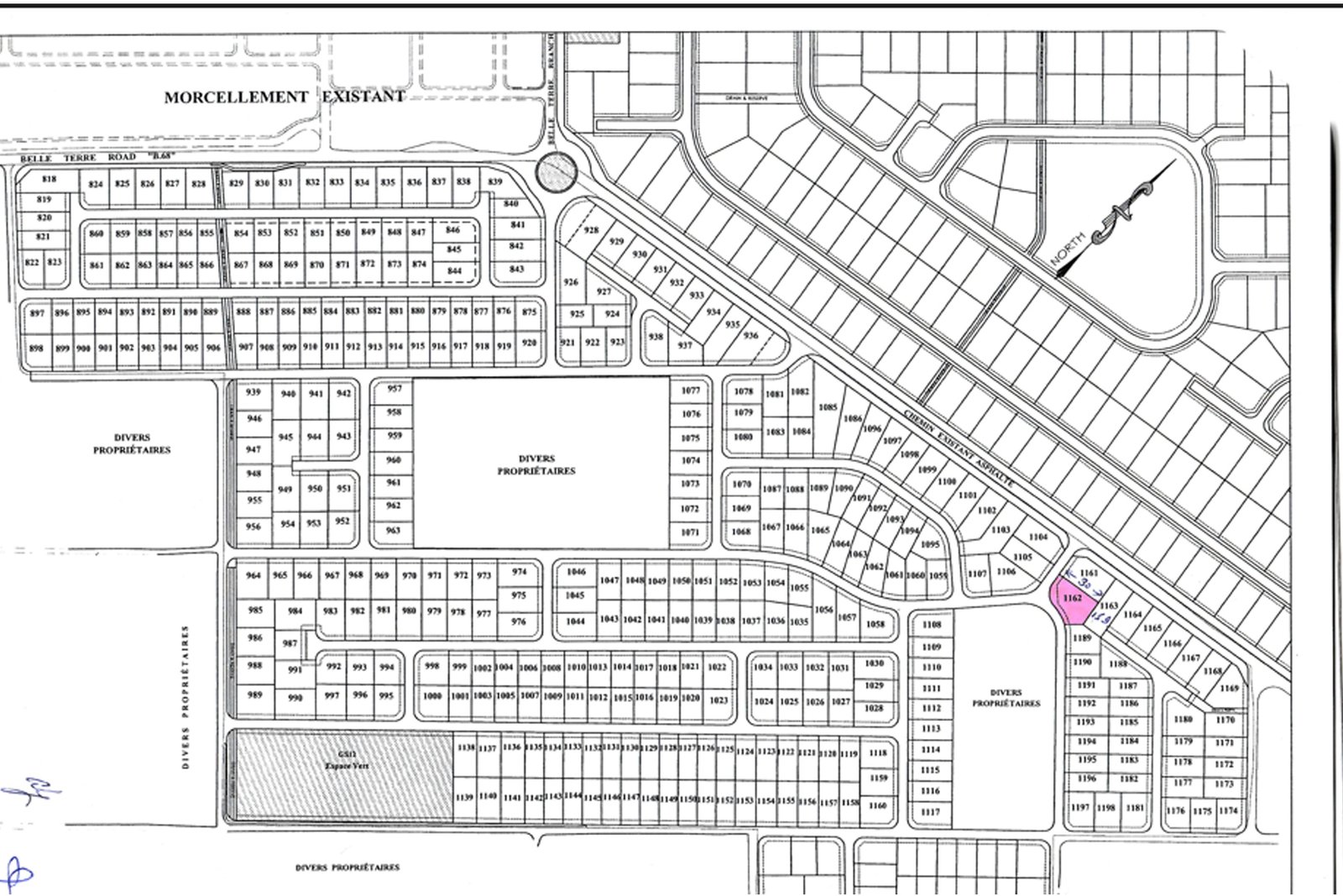
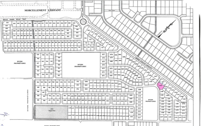
- Property size: 149 Toises
- Lot size: 13.4 Perches
- Property ID: P12/RL/HR/S/230
Features
- Close to all facilities
- Located in a calm environment
- Located in a Morcellement
- Located in a secure environment
Details
For sale nice residential land at Morcellement Highland Rose.
Price: Rs 5, 364, 000
For sale residential land of 149 toises (13.41 perches) at Morcellement Highland Rose. It is a corner plot and is situated on the main road. The residential plot is located in a secured, calm environment and close to all facilities.
Agency fees: 2 % + VAT
For more details, please call Jaysen on 59401212.
- ID: 3658
- Published: November 26, 2025
- Last Update: November 26, 2025
- Views: 176