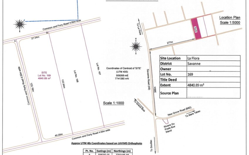
For sale agricultural land at Morcellement Agricole SIT at La Flora.
MUR2,500,000
- Property type: Agricultural Land
- Offer type: For Sale
- City: La Flora
- Property size: 1 Arpent 17 Perches
- Property ID: P12/AL/LF.169/S/186
Features
- Close to all facilities
- Located in a Morcellement
Details
For sale agricultural land at Morcellement Agricole SIT at La Flora.
Price: Rs 2, 500, 000
Agricultural land of 1A17 perches (Lot 169) for sale in Agricultural Morcellement SIT at La Flora. The land has already been cleared up and is situated near Domaine du poste & 150m from main road
Agency fees: 2 % + TVA
For more details, please contact Jaysen on 59401212.
- ID: 3684
- Published: November 26, 2025
- Last Update: November 26, 2025
- Views: 169