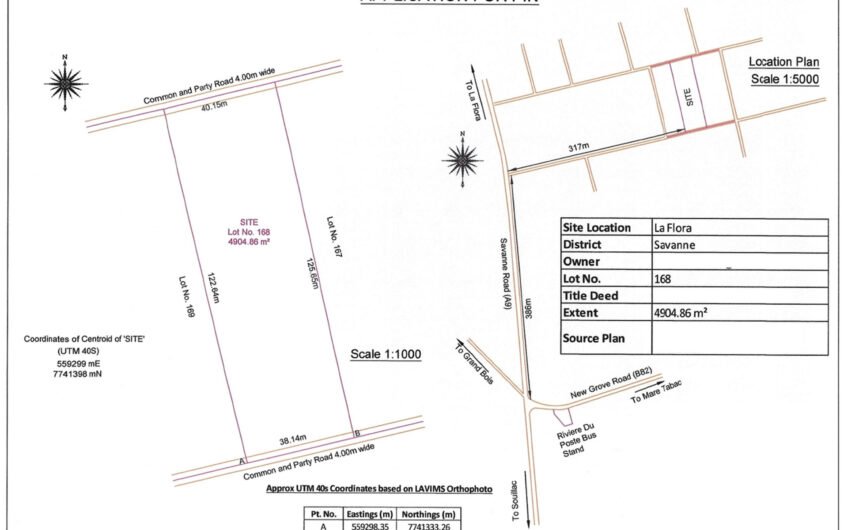
For sale agricultural land at Morcellement Agricole SIT at La Flora.
MUR2,500,000
- Property type: Agricultural Land
- Offer type: For Sale
- City: La Flora
- Property size: 1 Arpent 16 Perches
- Property ID: P12/AL/LF.168/S/298
Features
- Close to all facilities
- Located in a Morcellement
- Located in a quiet environment
Details
For sale agricultural land at Morcellement Agricole SIT at La Flora.
Price: Rs 2, 500, 000
Agricultural land of 1A16 perches (Lot 168) for sale in Agricultural Morcellement SIT at La Flora. The land has already been cleared up and is situated near Domaine du poste & 150m from main road.
Agency fees: 2 % + TVA
For more details, please contact Jaysen on 59401212.
- ID: 3694
- Published: November 26, 2025
- Last Update: November 26, 2025
- Views: 176